€164.000
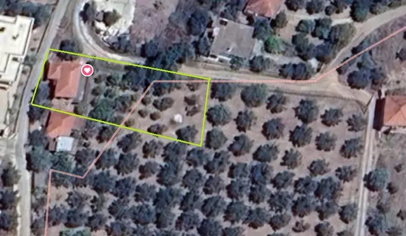
Dit charmante stenen huis met twee verdiepingen, dat gerenoveerd moet worden, biedt een unieke kans voor mensen met een visie. De woning beslaat 139 m² op een royaal perceel van 1.076 m² en beschikt over een ruim balkon van 36 m² met vrij uitzicht op zee en de omliggende olijfgaarden. De begane grond bestaat uit een ruime open ruimte van 63 m² die kan worden omgebouwd tot een zelfstandige woonruimte of kan worden geïntegreerd in de bestaande hoofdwoning erboven. De bovenverdieping beschikt over drie slaapkamers, een keuken en een badkamer binnen de indeling van 77 m².
Met meer dan 700 m² tuin aan de voorzijde en gelegen op slechts 1 km van de zee, is dit rustige en beschutte toevluchtsoord perfect voor natuurliefhebbers. Het dak is ongeveer tien jaar geleden vervangen en met de nodige renovaties kan dit bijna honderd jaar oude olijfhuis een architectonisch pareltje worden.
Hoogtepunten
– Vereist renovatie om zijn volledige potentieel te benutten.
– Prachtig uitzicht op zee en de olijfgaard vanaf het balkon.
– De begane grond biedt flexibele ontwerpmogelijkheden. – Meer dan 700 m² eigen tuin.
– Rustige ligging op slechts 1 km van het strand.
– Dak circa tien jaar geleden vervangen.
– Directe verkoop van eigenaren die gepassioneerd zijn over hun huis.
Makelaardij Griekenland | All Rights Reserved.
Design & Developed by Buy Wordpress Templates
